Archiwalne

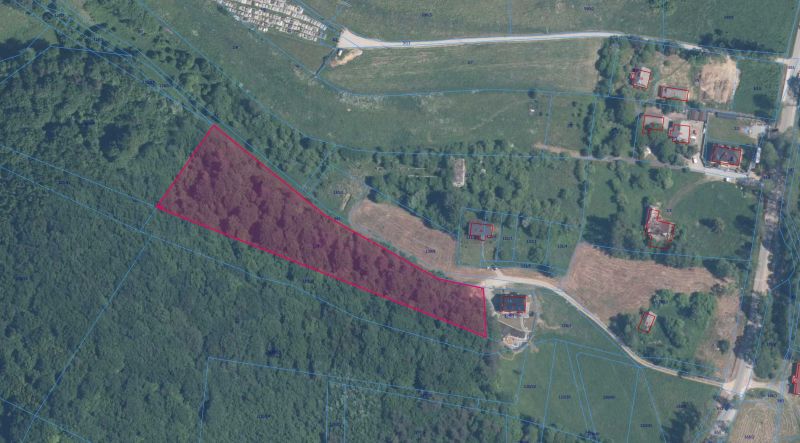
Działka leśna 7859 metrów kw

Oferta nr 257450 · Dodano: 06.11.2023 · Ważne do: 04.02.2024 · Odsłony: 1232
To ogłoszenie jest archiwalne i nie jest już aktywne.

Ogłoszenie pozostaje widoczne w celach informacyjnych. Nadal możesz uzyskać dane kontaktowe ogłoszeniodawcy.

Zaloguj się i zobacz kontakt

Sprzedam: Działka leśna 7859 metrów kw

Cena -

Dane kontaktowe

To ogłoszenie jest archiwalne. Zaloguj się, aby zobaczyć dane kontaktowe ogłoszeniodawcy.

Zaloguj się i zobacz kontakt

Treść ogłoszenia

Duża działka wraz z lasem.
Drzewa bukowe, sosnowe i mieszane.
Dojazd drogą utwardzoną. Działka mocno nachylona.
Od ręki pozwolenie z leśnictwa na wycinkę 11 kubików drzewa.
Sprzedaż tylko całości.

Działka znajduje się w miejscowości Szklary, małopolskie.
Numer działki 129/3
Zgłoś błąd